2025-07-13
(
previous
|
next
|
return
)
MCIR
Thermal
MB
HVCT
MSA
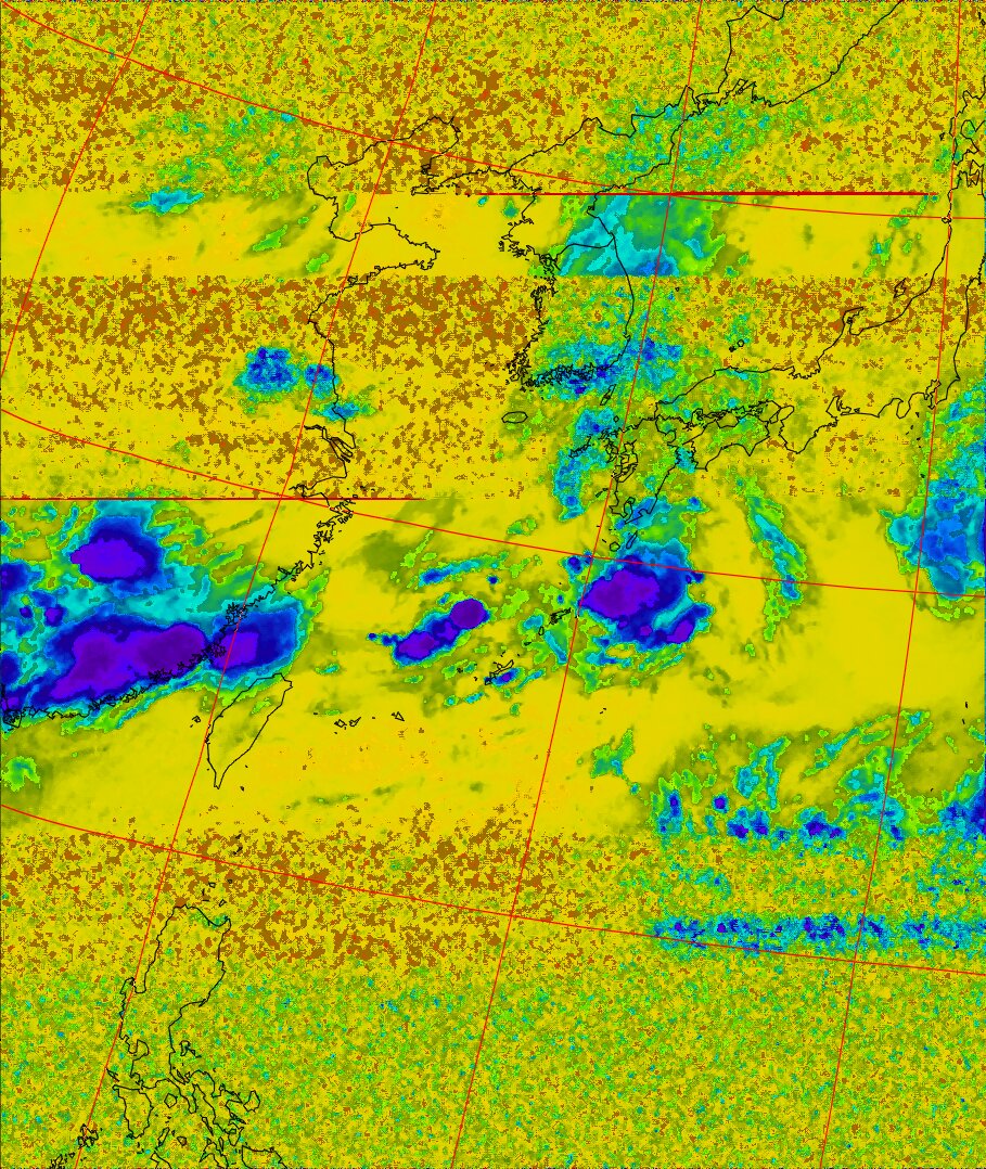
NOAA19 10:33:52~10:49:26 進行方向(北から南) 最大昇角(59°) 方角(西)
NOAA19 21:55:56~22:11:24 進行方向(南から北) 最大昇角(46°) 方角(西)
(
previous
|
next
|
return
)
using WXtoimg version 2.11.2 bata © 2001-2013 Central North Publishing Limited.
© 2022- inoshita.jp